Immonot, l'immobilier des notaires
Achat - Terrain à bâtir
Ligné (44850)
115 770 €
113 500 € + Honoraires de négociation TTC : 2 270 €
Soit 2,0% à la charge de l'acquéreur
Numéro principal :
02 40 77 00 03
Envoyer un email
Numéro principal :
02 40 77 00 03
Email

Achat Terrain à bâtir Ligné (44850) 454 m2


Retour
115 770 €
113 500 € + Honoraires de négociation TTC : 2 270 €
Soit 2,0% à la charge de l'acquéreur
Tous les biens de l'office
115 770 €
113 500 € + Honoraires de négociation TTC : 2 270 €
Soit 2,0% à la charge de l'acquéreur
Barème des honoraires de négociation

Financer ce bien Assurance Emprunteur
Déménagement Améliorer son habitat
Caractéristiques
Surface terrain
454 m2
Viabilité
Viabilise
Référence
NOT 28
Les +
Centre Ville
Commerces
Ecole

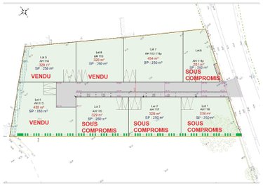
Terrain à Batir à vendre à Ligné en Loire-Atlantique (44850), ref : NOT 28

Nous proposons à la vente plusieurs terrains constructibles entièrement viabilisés et libre de constructeur.
A réserver rapidement.
LOTISSEMENT LIGNÉ _ 250 euros le m²
PLUS QU'UN LOT RESTANT !
LOT 7 d'une surface de 454 m² : 115 770 € FAI

contact: Alexia HAMERY : 06.62.13.48.08

État des risques

Les informations sur les risques auxquels ce bien est exposé sont disponibles sur le site Géorisques : www.georisques.gouv.fr

Contacter l'office notarial
SELURL M. BORDELAIS

253 rue de l'Hôtel de Ville BP 22
44850 LIGNE

Tous les biens de l'office notarial

Formulaire de contact

Nous vous informons de l'existence de la liste d'opposition au démarchage téléphonique BLOCTEL sur laquelle vous pouvez vous inscrire bloctel.gouv.fr.

Confidentialité et conformité au RGPD.
Vos données personnelles sont traitées par Notariat Services en tant que responsable de traitement afin de répondre à votre demande de mise en relation avec SELURL Médéric BORDELAIS. Les grandes lignes concernant la responsabilité liée à ce traitement effectué par Notariat Services sont disponibles ici. Vos données sont conservées pendant 36 mois et sont destinées à la mise en relation avec SELURL Médéric BORDELAIS. Conformément à la loi "informatique et libertés" et au RGPD, vous pouvez exercer vos droits d'opposition, d'accès, de rectification, d'effacement, de limitation et de portabilité en adressant un email à l'adresse suivante : [email protected]. Vous pouvez également adresser une réclamation auprés de la CNIL directement via son site internet www.cnil.fr.

Les champs obligatoires sont marqués *.

Contacter l'office notarial
SELURL M. BORDELAIS

253 rue de l'Hôtel de Ville BP 22
44850 LIGNE

Tous les biens de l'office notarial
SIRET:
844 254 086 00011
TVA Intra-communautaire:
FR23 844 254 086
/>